Thu. November 27, 2025
Sign In
Join
K-Talk
K-POP
K-DRAMA&FILM
K-LIFE
Travel
Art
Contribution
K-GALLERY
Photos
Videos
K-Star Gallery
Search
Search:
91,205
Heritage
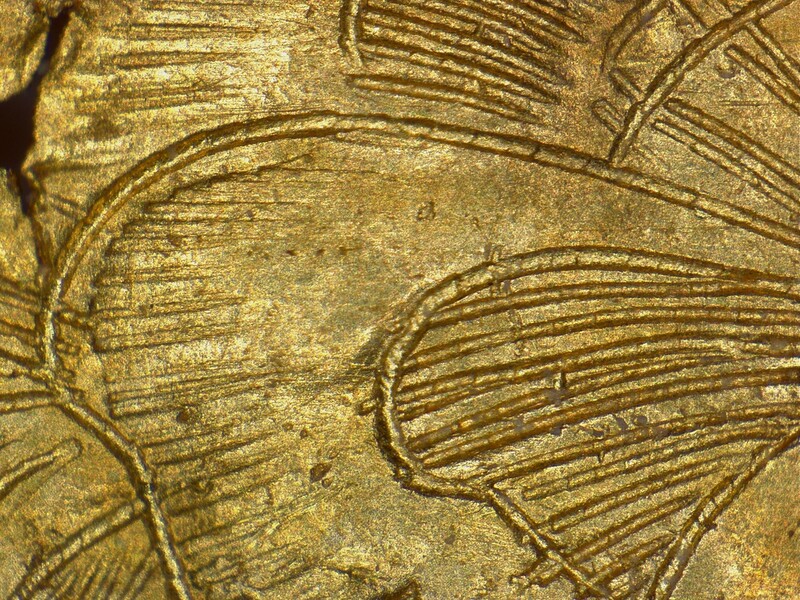
"불가사의·신을 위한 작품"…정밀한 신라 금박유물 '미스터리'
(서울=연합뉴스) 박상현 기자 = "이건 도저히 못 할 것 같아요. 레이저 같은 현대 장비로 제작할 수 있는지도 실험해 봐야 알 수 있을 겁니다. 이렇게 섬세한 무늬는 현미경을 보고 해도 못 만들어요. 불가사의할 정도의 작업입니다."국가무형문화재 조각장 김용운 보유자는 경주 동궁과 월지에서 나온 8세기 유물 '선각단화쌍조문금박'(線刻團華雙鳥文金箔)에 대해 "현대 장인도 재현이 불가능한 작품&quo
Football
아우베스, FC바르셀로나와 두 번째 작별…"다른 길 갈 시간"
(서울=연합뉴스) 이의진 기자 = 스페인 프로축구 FC바르셀로나의 살아 있는 전설 다니 아우베스(39)가 팀과 또 한 번 작별한다.바르셀로나는 16일(한국시간) 홈페이지에 '아우베스, 땡큐'라는 제목의 보도자료를 올리며 "아우베스가 팀을 떠난다고 알렸다"고 밝혔다.바르셀로나는 "팀의 '전설'이 떠난다. 이 브라질 출신 윙백은 우리 팀 유니폼을 입고 지난 아홉 시즌 동안 최고의 모습을
Football
우즈베키스탄, 일본 2-0 제압…사우디와 U-23 아시안컵 결승
(서울=연합뉴스) 이의진 기자 = 개최국 우즈베키스탄이 일본을 꺾고 2022 아시아축구연맹(AFC) 23세 이하(U-23) 아시안컵 결승에 올랐다.우즈베키스탄은 16일(한국시간) 타슈켄트 밀리 스타디움에서 열린 대회 준결승에서 일본을 2-0으로 꺾었다.2018년 이 대회 정상에 오른 우즈베키스탄은 4년 만에 다시 우승을 노리게 됐다.앞서 열린 4강전에서 사우디아라비아가 호주를 2-0으로 꺾으면서 이번 대회 결승은 우즈베키스탄-사우디의 대결로 치
Travel
에어부산, 인천발 보라카이·삿포로·다낭 노선 전세기 투입
(부산=연합뉴스) 박성제 기자 = 에어부산이 인천에서 출발하는 필리핀 보라카이, 일본 삿포로, 베트남 다낭 노선에 전세기를 투입한다고 16일 밝혔다.인천∼보라카이 노선은 다음 달 16일부터 8월 27일까지 주 2회(수·토), 인천∼삿포로 노선은 다음 달 28일부터 8월 14일까지 주 2회(목·일) 운항한다.에어부산은 신규 취항하는 인천∼다낭 노선에도 전세기를 투입해 운항 편수를 늘린다.이 노선은 다음 달 20일부터 9월 14일까지 주 2회(목·
Contribution
경기도, 경기평화광장서 주말 야외 영화 상영
(의정부=연합뉴스) 우영식 기자 = 경기도는 주민들에게 특별한 여름밤을 선사하고자 이달 18일, 19일과 다음 달 2일, 3일 등 모두 4차례에 걸쳐 의정부시에 있는 북부청사 앞 경기평화광장에서 야외 영화 상영을 한다고 16일 밝혔다.날짜별 상영작은 18일 '미녀와 야수', 19일 '씽(SING)', 다음 달 2일 '모아나', 3일 '라이온킹' 등이다.사회적 거리두기 해제에 따라 사전 예
Heritage
금박에 머리카락보다 가늘게 그린 화조도…8세기 신라 유물 발견
경주 동궁과 월지 출토물…가로 3.6㎝·세로 1.17㎝에 0.05㎜ 굵기 무늬 "현대 장인도 만들기 쉽지 않은 불가사의한 작품"…기물 부착 장식물 추정(서울=연합뉴스) 박상현 기자 = 종이처럼 얇게 편 금박에 머리카락 굵기의 절반 정도 되는 매우 가느다란 선을 무수히 그어 새 두 마리와 꽃들을 표현한 정교하고 섬세한 신라 유물이 경주 동궁과 월지에서 나왔다.육안으로는 거의 식별이 불가능해 현미경을 이용해야만 문양을 살필 수
Ent.Features
이노션, 광고업계 최초 '콘텐츠 보팅 플랫폼' 비즈니스 론칭
(서울=연합뉴스) 김기훈 기자 = 이노션[214320]이 광고업계 최초로 '콘텐츠 보팅(Voting·투표) 플랫폼' 비즈니스를 본격적으로 론칭한다.이노션 미디어본부는 이를 위해 최근 콘텐츠 마케팅 특화 스타트업이자 투표 앱 '뜨자' 운영사인 ㈜브릿지씨, 데이터 보안 및 블록체인 전문기업인 ㈜파수와 업무협약(MOU)을 체결했다고 16일 밝혔다.콘텐츠 보팅 플랫폼 비즈니스는 국내 예능 오디션 TV 프로그램과 연계해 시청
Life Style
[게시판] 애경산업 반려동물 제품 브랜드 '휘슬' 매출 151%↑
애경산업[018250]은 국내 반려묘 양육 가구가 늘어나면서 자사 고양이용품 매출이 증가하고 있다고 16일 밝혔다. 애경산업에 따르면 올해 1∼5월 자사 펫 케어 브랜드 '휘슬' 제품 매출은 작년 동기보다 151% 증가했다. 이 기간 고양이 모래 '리얼 블루·블랙 샌드' 매출은 153%, 액상 간식 '프레시한스틱' 은 139% 각각 늘었다. (서울=연합뉴스)(끝)
Game
넥슨·GS25, 스티커 든 '메이플스토리 빵' 5종 출시
(서울=연합뉴스) 김주환 기자 = 넥슨은 GS25와 제휴해 전국 GS25 편의점에 '메이플스토리' 캐릭터로 디자인한 빵 5종을 출시한다고 16일 밝혔다.17일 출시되는 이 빵에는 '핑크빈', '슬라임' 등 메이플스토리 캐릭터로 구성된 80종의 스티커가 들어있다.넥슨은 메이플스토리 빵 출시와 함께 빵 1개를 구매하는 고객에게 GS25 앱 '나만의 냉장고'를 통해 스탬프 1개를 제공하고, 스
Life Style
무신사, 서울 홍대 이어 강남에도 오프라인 매장…내달 1일 개장
(서울=연합뉴스) 황희경 기자 = 온라인 패션 플랫폼 무신사가 서울 홍대 지역에 이어 서울 강남에도 자체 브랜드 '무신사 스탠다드'의 매장을 내고 오프라인 시장 공략을 강화한다.무신사는 7월 1일 서울 지하철 2호선 강남역과 9호선 신논현역 중간 지점에무신사 스탠다드 강남' 플래그십 스토어를 선보인다고 16일 밝혔다.무신사 스탠다드 강남의 영업면적은 약 976㎡(약 287평)로 홍대 매장(약 850㎡)보다 크다.홍대 매장이
Ent.Features
가수 션-서경덕 교수, 18일 청년들 고민 상담 토크 콘서트
(서울=연합뉴스) 왕길환 기자 = 가수 션과 서경덕 성신여대 교수가 청년들의 고민을 상담하는 토크콘서트를 펼친다.오는 18일 서울 관악구 샤로수길에서 '인문학 청년과 놀다'라는 주제로 연다. 고민 상담 토크와 청년 댄서·밴드 공연 등을 통해 청년을 위로하는 행사다.이번 일을 기획한 서 교수는 16일 "신종 코로나바이러스 감염증(코로나19)으로 오프라인에서 청년들과 소통이 적었던 만큼 의미 있는 행사를 통해 청년들에게 조
Heritage
부산건축워크숍 8월 1일 개막…동해선 주변 발전방안 모색
(부산=연합뉴스) 민영규 기자 = 부산시는 오는 8월 1일부터 17일까지 2022부산국제건축디자인워크숍을 온라인으로 개최한다고 16일 밝혔다. 우리나라와 미국, 이탈리아 등 8개국 20개 대학의 건축 관련 학생 60여 명이 참여한 가운데 '메가시티:게이트 네트워킹'을 주제로 다양한 의견을 교환한다. 특히 부산, 울산, 경남 메가시티(특별지방자치단체)를 추진하는 과정에 중요한 교통망인 동해선과 그 주변 발전 방안을 심도 있게 논의할
Football
"FFP 어겼다"…라리가, UEFA에 맨시티·PSG 고발
(서울=연합뉴스) 이의진 기자 = 스페인 프로축구 프리메라리가가 '재정적 페어플레이'(FFP) 규정을 어겼다며 맨체스터 시티(맨시티·잉글랜드)와 파리 생제르맹(PSG·프랑스)을 유럽축구연맹(UEFA)에 고발했다고 밝혔다.라리가는 15일(한국시간) 성명을 내고 지난 4월 맨시티를 고발한 데 이어 지난주 PSG를 UEFA에 고발해 조사를 촉구했다고 공식 발표했다.이들 구단이 특급 선수를 공격적으로 영입하는 중에 FFP 규정을 어겼다는
General
'웹툰 속 그 커플 어떻게 됐을까'…유명 웹툰의 뒷이야기들
(서울=연합뉴스) 김경윤 기자 = '치즈 인 더 트랩'의 홍설과 유정 커플은 헤어지지 않고 결혼에 골인했을까? '징크스의 연인' 속 수광과 슬비 커플은 운명의 굴레가 이어질 위험을 무릅쓰고 아이를 낳았을까?웹툰은 완결됐더라도 몇 년에 걸쳐 함께 울고 웃었던 주인공 커플이 쭉 행복하게 잘살고 있는지 궁금한 것이 독자의 마음이다. 이런 마음을 읽기라도 한 듯 최근 유명 웹툰이 광고 또는 드라마 홍보를 계기로 후일담을 공
Football
"인상적인 활약"…토트넘, 이집트전 승리 이끈 손흥민 조명
(서울=연합뉴스) 이의진 기자 = 잉글랜드 프로축구 토트넘 홋스퍼가 공식 홈페이지를 통해 한국 국가대표팀에서 맹활약한 손흥민의 활약을 조명했다.토트넘은 15일(한국시간) 홈페이지에서 2021-2022시즌 잉글랜드 프로축구 프리미어리그(EPL) 종료 후 각자 국가대표팀에서 활약 중인 선수들을 소개했다.손흥민이 제일 먼저 소개됐다.토트넘은 지난 14일 서울월드컵경기장에서 펼쳐진 이집트전을 언급하며 "손흥민이 이집트와 경기에서 인상적인 4
General
[신간] 우리는 이태석입니다
(서울=연합뉴스) 성도현 기자 = 우리는 이태석입니다 = 구수환 지음.30여 년간 현장을 누벼온 지상파 방송사 PD인 저자가 다큐멘터리 '울지마 톤즈'로 알려진 고(故) 이태석 신부의 선종 이후 찾아간 남부 수단의 도시 톤즈에서 만난 사람들, '이태석 정신'으로 살아가는 사람들의 이야기를 담은 책이다.저자는 톤즈에서 10년 남짓 교육과 의료 봉사를 하다가 암 선고를 받고 2010년 48세의 나이로 세상을 떠난 이
Life Style
"미용시술·성형수술 계약해지 분쟁 잦아…충동 계약 주의"
(서울=연합뉴스) 황희경 기자 = A씨는 지난해 11월 피부과에서 쌍꺼풀 수술과 미용시술을 받기로 하고 계약금으로 500만원을 냈다.A씨는 이후 필러 시술을 받은 상태에서 계약을 해지하려 했지만 피부과에서는 필러 시술비 121만원과 위약금 137만2천800원을 공제하겠다고 주장했다.16일 한국소비자원이 2019년부터 올해 3월까지 접수된 피부과, 성형외과 품목의 미용·성형 관련 피해구제 신청 570건을 분석한 결과에 따르면 A씨 사례처럼 계약
General
韓기업 진출 브라질 도시서 한인 아티스트 공연
(상파울루=연합뉴스) 김재순 특파원 = 현대자동차를 비롯해 다수의 우리 기업이 진출한 브라질 상파울루주 피라시카바시에서 한인 아티스트 공연이 펼쳐져 현지 주민들의 큰 호응을 얻었다.브라질 한국문화원은 15일(현지시간) 피라시카바 시립극장에서 전날 '찾아가는 문화원' 프로그램의 일환으로 브라질 거주 한인 아티스트들이 가야금 산조와 병창, 오페라 아리아, 진도북춤 등을 선보였다고 밝혔다.이날 행사에선 한복 모델·한복 인형과 함께 사진
K-POP
BTS, 그룹활동 잠정중단 전격 선언…하이브 "해체 전혀 아니다"(종합2보)
(서울=연합뉴스) 이태수 기자 = 그룹 방탄소년단(BTS)이 데뷔 9년 만에 단체 활동 잠정 중단을 전격 선언했다.그룹 해체는 아니지만 세계 최정상에서 엄청난 팬들을 거느리며 최전성기를 누리는 상황을 고려하면 K팝을 넘어 세계 가요계와 대중문화 분야에 큰 파장을 미칠 것으로 보인다.방탄소년단은 14일 오후 늦게 올린 유튜브 영상 '찐 방탄회식'
General
뮤지컬 '엘리자벳' 캐스팅 논란에 제작사 "엄격한 오디션 거쳐"
(서울=연합뉴스) 김경윤 기자 = 뮤지컬 '엘리자벳'이 공연을 두 달 앞두고 이른바 '인맥 캐스팅', '미스캐스팅' 논란에 휩싸이자 제작사가 공식 해명에 나섰다.15일 제작사 EMK뮤지컬컴퍼니(이하 EMK)에 따르면 8월 개막하는 '엘리자벳' 5번째 시즌에는 옥주현·이지혜가 주인공인 오스트리아 황후 엘리자벳으로 더블 캐스팅됐다.뮤지컬 팬들 사이에서는 '엘리자벳' 역으로 익숙
◀
3391
3392
3393
3394
3395
3396
3397
3398
3399
3400
▶
Most Popular
1
K-DRAMA&FILM
Veteran actor Lee Soon-jae passes away at 91 after lifelong passion for acting
2
K-DRAMA&FILM
Tributes pour in for late actor Lee Soon-jae for second day
3
K-DRAMA&FILM
Actress Go Won-hee ends marriage after two years
4
K-DRAMA&FILM
Outpouring of condolences for late actor Lee Soon-jae as 'big star' passes
5
K-POP
Stray Kids to headline Brazil’s “Rock in Rio” festival
K-POP
'그때 그사람' 가수 심수봉, '10·26' 김재규 재심 증인 불출석
세븐틴 준, 중국 '하이난 국제 영화제' 홍보대사
SEVENTEEN releases special “God of Music” music video in collaboration with the Smurfs
K-DRAMA&FILM
Tributes pour in for late actor Lee Soon-jae for second day
Outpouring of condolences for late actor Lee Soon-jae as 'big star' passes
Actress Go Won-hee ends marriage after two years
검색어 입력폼
Category
K-TALK
K-POP
K-DRAMA&FILM
K-LIFE
View all
Travel
Art
Contribution
K-GALLERY
View all
Photos
Videos
K-Star Gallery