![]() |
| ▲ 인천 부평구 미쓰비시 줄사택진 [인천시 부평구 제공. 재판매 및 DB 금지] |
![]() |
| ▲ 부평 미쓰비시 줄사택 배치 사진 [국가유산청 제공. 재판매 및 DB 금지] |
![]() |
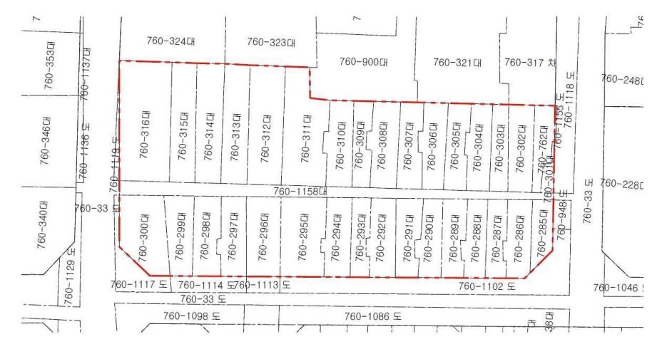
| ▲ 미쓰비시 줄사택 토지 현황 [국가유산청 제공. 재판매 및 DB 금지] |
![]() |
| ▲ '홍재일기' [국가유산청 제공. 재판매 및 DB 금지] |
![]() |
| ▲ '홍재일기' 1∼4 [국가유산청 제공. 재판매 및 DB 금지] |
![]() |
| ▲ '민영환 유서(명함)' [국가유산청 제공. 재판매 및 DB 금지] |
일제 강제동원 흔적과 부안 유생의 일기, 국가등록문화유산 된다
국가유산청, '부평 미쓰비시 줄사택'·'홍재일기' 등록 예고
(서울=연합뉴스) 김예나 기자 = 일제강점기 강제 동원된 노동자들의 땀과 눈물이 깃든 공간이 국가등록문화유산이 된다.
국가유산청은 '부평 미쓰비시 줄사택'과 '홍재일기'를 국가등록문화유산으로 등록할 계획이라고 13일 예고했다.
인천 부평구에 남아있는 미쓰비시 줄사택은 일제강점기 일본 육군이 관리하는 군수물자 공장이었던 미쓰비시(三菱) 제강 인천제작소 노동자들이 합숙 생활을 하던 공간이다.
당시 공장에서 일한 노동자 대부분은 강제 동원된 조선인으로 추정된다.
일제의 한반도 병참기지화가 본격화한 1939년 지어진 것으로 보이는 건물은 마치 연립 주택처럼 여러 호의 집들이 줄지어 있어 속칭 '줄사택' 혹은 '미쓰비시 줄사택'으로 불려 왔다.
이번에 등록 예고된 범위는 약 1천329㎡에 해당하는 34필지다.
국가유산청은 "광복 후에도 도시 노동자를 비롯한 다양한 계층의 주거 공간으로서 삶의 흔적이 남아 있어 역사적 측면에서 가치가 높다"고 설명했다.
함께 등록 예고된 '홍재일기'는 전북 부안군의 유생 기행현이 23세였던 1866년부터 1911년까지 45년간 작성한 일기로, 총 7권(책)으로 구성돼 있다.
기행현의 후손이 보관해 왔던 일기는 당시 시대 상황을 살펴볼 수 있는 중요한 자료로 여겨진다.
예컨대 동학농민혁명의 시작을 알린 대규모 군중집회인 '백산대회'는 그동안 정확한 내용이 밝혀지지 않았으나, '홍재일기'에는 1894년 음력 3월 26일에 열렸다는 기록이 남아있다.
1866년부터 약 30년간의 물가 변동, 가뭄, 세금 등과 관련한 내용도 주목할 만하다.
국가유산청은 "부안을 중심으로 당시 지역사회의 변화상과 역사적 사건을 새롭게 조명하고 있다는 점에서 중요한 사료로 평가받는다"고 설명했다.
국가유산청은 '부평 미쓰비시 줄사택' 등 2건에 대해 각계 의견을 수렴한 뒤 문화유산위원회 심의를 거쳐 국가등록문화유산 여부를 확정할 계획이다.
한편, 국가유산청은 일제의 침략에 죽음으로 항거한 충정공 민영환(1861∼1905)의 유서를 국가등록문화유산으로 등록했다.
'민영환 유서(명함)'는 일제가 대한제국 외교권을 박탈한 을사늑약이 체결된 직후인 1905년 11월 30일 민영환이 자결하면서 남긴 마지막 흔적이다.
명함 형태로 된 유서에는 2천만 동포에게 각성을 촉구하는 내용이 담겨 있다.
국가유산청 관계자는 "자결 순국 당시의 긴박한 상황과 충정공의 정신을 후세에게 알릴 수 있는 사료로서 문화유산으로서 가치가 크다"고 설명했다.
(끝)
<저작권자(c) 연합뉴스, 무단 전재-재배포, AI 학습 및 활용 금지>
(C) Yonhap News Agency. All Rights Reserved































![[가요소식] 재주소년 콘서트](/news/data/20251113/yna1065624915925440_516_h2.jpg)









